Rönesans’ın AVM Yapacağı Arazi Arkeolojik SİT İlan Edildi!
Beştepe ve Okluk koyundaki Cumhurbaşkanlığı yazlık sarayının müteahhiti olan Rönesans Holding’in Antalya’da AVM yapmak istediği arazi, 3. derece arkeolojik SİT alanı ilan edildi... Yusuf Yavuz

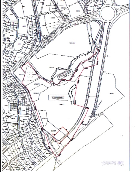
Daha önce üzerinde Minicity’nin bulunduğu Konyaaltı sahilinin doğusundaki arazi, Antalya Büyükşehir Belediyesi tarafından 2017 yılında ihale yoluyla 30 yıl süreyle Rönesansa’a verilmişti. Sarayın müteahidi bu alanda ‘Hiltown’ markası ile bir AVM inşa etmek istiyor. İki yıl önce inşaatın temel kazısı sırasında geç antik döneme tarihlenen mezarlar ve kalıntılar çıkmış bunun üzerine inşaat çalışmalar durdurulmuştu. İnşaat alanında ortaya çakan kalıntıların, Doğu Roma dönemine (M.S. 4.-7. yy) tarihlenen ve Olbia Antik Kenti ile bağlantılı bir Nekropol alanına ait olduğu belirtiliyor. Antalya Kültür Varlıklarını Koruma Bölge Kurulu, apsisli mozaik taban döşemeli şapel ile podyum mezar ve çok sayıda buluntuların ortaya çıktı iki ayrı parselin 3. derece arkeolojik SİT olarak, kurtarma kazası yapılan alanın ise 1. derece arkeolojik SİT alanı olarak korunmasına karar verdi.
Ankara’da Beştepe, Marmaris’te ise Okluk Koyu’nda Cumhurbaşkanı Erdoğan için külliye ve yazlık saray inşa eden Rönesans Holding, Antalya Konyaaltı’nda sahile yakın arazide AVM inşa etmek için kolları sıvadı. Daha önce üzerinde Minicity’nin yer aldığı arazinin mülkiyeti Antalya Büyükşehir Belediyesi’ne ait. Büyükşehir Belediyesi, bu araziyi 2017 yılında ihaleyle 30 yıl süreyle Rönesans & Kabataş Gayrimenkul Ortaklığı’na kiraladı. Böylece geçmişte kent parkı ve fuar alanı olarak ayrılan, Antalya’nın simge etkinliklerinden biri olan Altın Portakal Film Festivali etkinlikleri için kullanılması gereken bu arazi, 2047 yılına kadar Rönesans Holding’in kullanımına verildi.
AVM YAPILMAK İSTENEN ARAZİDE ARKEOLOJİK KALINTILAR ÇIKTI
Mevcutta tescilli antik bir yol ve 1. derece arkeolojik sit alanlarının bulunduğu bu bölgede, iki yıl önce AVM inşa etmek için çalışmalar başlatıldı. Ancak temel kazısı sırasında geç antik döneme tarihlenen mezarlar ve mimari yapıların kalıntıları ortaya çıktı. Bunun üzerine çalışmalar durduruldu. Müze denetiminde sürdürülen kazılarda AVM İnşaatı alanında ki kalıntılar ortaya çıkarıldı.
GÖZLER KORUMA BÖLGE KURULUNA ÇEVRİLDİ
İnşaat alanını çevreleyen panolarda, Rönesans Holding tarafından bu arazide yapılması planlanan AVM’nin afiş ve tanıtım görselleri bulunurken, gözler Antalya Kültür Varlıklarını Koruma Bölge Kurulu’na çevrilmişti.
KORUMA KURULUNDAN TESCİL KARARI
Uzun süren değerlendirmelerin sonucunda, koruma bölge kurulu, 26 Eylül 2025 tarihinde yaptığı toplantıda arkeolojik kalıntıların ortaya çıktığı söz konusu parsellerin, 3. derece arkeolojik SİT alanı olarak korunmasına karar verdi. 6 Ekim 2025 tarihinde Resmî Gazete’de yayınlanan 546 sayılı Kurul kararında, “21540 ada 1 ve 2 parseller ve çevresinde Müze Müdürlüğü tarafından gerçekleştirilen arkeolojik sondaj/kurtarma kazılarında, antik döneme ait mezarlar açığa çıkartıldığı, mezarlardan birinin ‘Podyum Mezar’ tipinde olduğu, apsisli mozaik taban döşemeli şapel yapısı, müştemilat yapısı ve bir çok küçük buluntunun tespit edildiği, mezarlar, mimari kalıntılar ve küçük buluntulardan yola çıkılarak alanın Doğu Roma Dönemine (M.S. 4.-7. yy) tarihlendirilebilecek, Olbia Antik Kenti ile bağlantılı bir nekropol alanı olabileceği ve 2863 sayılı Kanunun 3. ve 6. maddeleri kapsamında kaldığı” belirtildi.
KALINTILARIN OLDUĞU ALAN I. DERECE SİT OLDU
Alandaki kazılar sırasında açığa çıkartılan ve yerinde korunan kalıntıların (mezarlar, şapel ve müştemilat yapısı gibi) yer aldığı kısmın I. Derece Arkeolojik Sit Alanı olarak tesciline karar veren Koruma Bölge Kurulu, antik yol ile kuzeydeki Türkmen mezarlığını da içeren bölgenin 3. derece arkeolojik SİT alanı olarak tescil edilmesine karar verdi.
BÜYÜKŞEHİR BELEDİYESİ DAR ALANDA TESCİL İSTEDİ
Koruma Bölge Kurulu’nun tescil kararı öncesi görüş sorduğu kurumlar arasında yer alan ve aynı zamanda arazinin mülkiyetine sahip olan
Antalya Büyükşehir Belediyesi’nin, yalnızca kurtarma kazısı yapılan alanların tescil edilmesi yönünde görüş bildirdi. AVM yapılması planlanan söz konusu parsellerin, mevcut yerleşik alan içerisinde kaldığını belirtilen Büyükşehir Belediyesi’nin görüşünde, kamuya hizmet verecek şekilde projelendirilen alanların tescil edilmesinin uygun olmadığı bildirildi.
AVM PROJESİ NE OLACAK?
Rönesans Holding tarafından başlatılan AVM projesi, arazide çıkan arkeolojik kalıntıların değerlendirilmesi süreci nedeniyle yaklaşık iki yıldır beklemeye alınmıştı. Koruma Bölge Kurulu’nun tescil kararının ardından bu sürecin nasıl etkileneceğini belirsizliğini koruyor. Antalya Büyükşehir Belediyesinin sahibi olduğu parselin arkeolojik SİT olarak tescil edilmesi sürecinde, yalnızca kurtarma kazaları ile ortaya çıkarılan buluntuların olduğu kısmın ele alınması talebi dikkat çekici.
GENEL MÜDÜRDEN AVM AÇIKLAMASI
Rönesans Gayrimenkul Yatırım Genel Müdürü Yağmur Yaşar, Kurul kararından yaklaşık 2 ay önce, 4 Ağustos 2025 tarihinde Anadolu Ajansı (AA)’na verdiği bir demeçte, Antalya'da üçüncü Hilltown olacak bir AVM projesi geliştirmeyi planladıklarını belirterek, “Antalya, Rönesans Gayrimenkul'ün faaliyet gösterdiği sekizinci il olacak. Bu proje için yaklaşık 150 milyon dolarlık bir yatırım öngörüyoruz” ifadelerini kullanmıştı.
İLKE KARARI KOŞULLU YAPILAŞMA İZNİ VERİYOR
Arkeolojik SİT alanlarının koruma ve kullanma koşullarını belirleyen, 658 sayılı ilke kararı, koruma amaçlı imar planları hazırlanması koşuluyla 3. derece arkeolojik SİT alanlarında belirli ölçülerde yapılaşma izni veriyor. Ancak bu yapılaşma koşulları, mevcutta söz konusu alanda yapılması planlanan AVM ölçülerini karşılayacak düzeyde değil. Daha önce hazırlanan projeye göre AVM için 53 bin m2’lik kuramı kiralanabilir alan olmak üzere toplam 116 bin m2’lik inşaat alanı öngörülüyordu. Yeni gelişmeler doğrultusunda Rönesans Holding’in AVM projesinin nasıl bir yön izleyeceği merak ediliyor. İlgili kurumlardan henüz resmi bir açıklama yapılmış değil.
YENİ BETONLAŞMA MI YEŞİL ALAN MI?
Antalya’da çok sayıda AVM bulunması ve söz konusu parselin bitişiğinde mevcutta büyük bir AVM’nin yer alması; yeşil alanları giderek betonlaşan kentte yeni projelere karşı olumsuz yaklaşılmasına neden oluyor. Proje alanında ortaya çıkan buluntuların, Konyaaltı ilçesinin ve Antalya’nın tarihine ışık tutacak olması, bölgenin betonlaşmasana uzak tutularak kültürel miras alanı olarak korunması fikrini öne çıkarıyor.
Yusuf Yavuz
Lütfen Bekleyin.